• <li id="oo0oo"></li>
  • <li id="oo0oo"></li>
  • <li id="oo0oo"><tt id="oo0oo"></tt></li>
    <li id="oo0oo"></li>
  • 臺風樺加沙?| 為什么成為“風王”?中央氣象臺專家解構幾大關鍵原因

    發布時間:2025-09-22 18:43作者:梁景琴

    今年第18號超強臺風“樺加沙”正趨向華南沿海,預計將帶來嚴重風雨影響。其極端強度形成得益于菲律賓以東暖洋面高海溫、充沛水汽輸送及較弱垂直風切變等多重條件疊加。與2018年“山竹”類似,“樺加沙”可能造成廣泛破壞。

    點解成為“風王”?

    秋季臺風活動仍活躍,因副熱帶高壓南移及海洋能量仍高,秋臺風往往強度更強、登陸地點偏南,且易與冷空氣結合擴大風雨范圍。專家建議沿海地區嚴防強風、暴雨及次生災害,公眾應避免前往高風險區域并關注最新預警。

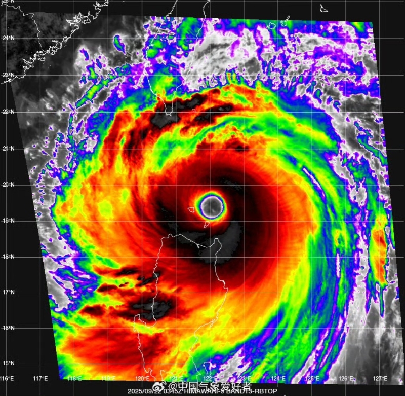
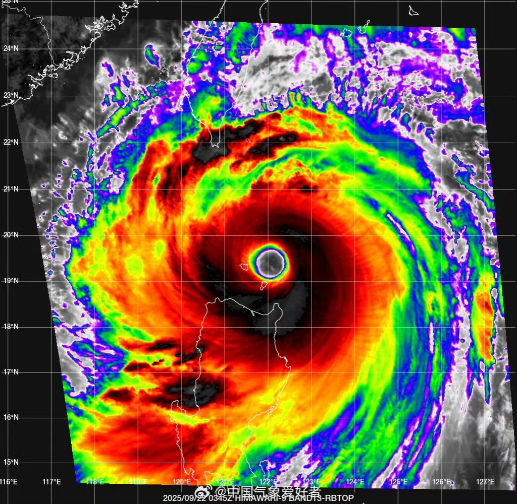
    新華社今天(22日)發布文章,分析臺風“樺加沙”為何能達到如此強度。

    西北太平洋的“風王”如何形成?

    據中央氣象臺預報,“樺加沙”將于明天(23日)凌晨進入南海東北部海面。中央氣象臺今天(22日)繼續發布臺風黃色預警,中國氣象局啟動重大氣象災害(臺風)二級應急響應。

    中央氣象臺首席預報員王皘解釋“樺加沙”具有風圈范圍廣、強度強等特點,其極端強度的形成由多種條件疊加導致?!皹寮由场庇?8日夜間在菲律賓以東的暖洋面生成,這個區域海溫超過29℃,暖水層深厚,如同臺風的“能量庫”,為其持續增強提供源源不斷的能量。同時熱帶輻合帶內西南季風與偏東氣流交匯,水汽輸送充沛,大氣層結不穩定,也非常利于臺風對流持續發展。此外,臺風途經區域垂直風切變較弱,臺風暖心結構維持,進一步助推其迅猛增強。

    “樺加沙”與2018年第22號臺風“山竹”在規模和移動路徑上較為相似?!吧街瘛痹鴰黹L時間大風、大范圍強降雨,對粵港澳瓊多地海陸空交通造成嚴重影響。專家提示,各地應提前部署防御,最大限度減輕災害影響。

    為何直到秋天臺風仍頻繁出現?

    近期,接連有臺風影響中國。氣象部門預計,未來一段時間臺風或熱帶低壓仍比較活躍。

    事實上,臺風并非夏季“特產”,一年四季都會有臺風生成。登陸中國的臺風最早在4月,最晚則在12月,其中7月至9月是生成臺風個數最多、也是臺風登陸最頻繁的月份。在氣象學上,9月至11月生成的臺風被稱為“秋臺風”。

    從常年平均(1991年至2020年)看,秋臺風每年生成10.7個,其中有2.33個登陸我國。秋臺風從生成數量上與夏臺風基本持平,但登陸數量明顯偏少。

    與夏臺風相比,秋臺風平均強度更強。在1949年至2023年登陸我國的秋臺風中,34.88%為臺風級別,17.95%為強臺風級別,4.10%為超強臺風級別。2024年第11號臺風“摩羯”是有氣象記錄以來秋季登陸我國的最強臺風(17級,62米每秒),其在超強臺風級別維持時間長達64小時。

    秋臺風平均強度更強

    同時,秋臺風登陸我國的地點普遍偏南。進入秋季以后,影響熱帶氣旋路徑的副熱帶高壓開始東退南移,位置逐漸偏南。因此,秋臺風最常見的登陸地為廣東省、海南省、臺灣省和福建省。

    此外,秋臺風影響期間經常有冷空氣參與其中,造成的風雨影響范圍會更大。受“樺加沙”影響,預計23日至26日臺灣海峽、南海北部海域、華南沿海將出現強風雨天氣。王皘表示,除直接風雨影響外,臺風外圍水汽將會向北輸送,江淮、江南等地可能出現遠距離暴雨。

    氣象專家建議,受影響地區要嚴格落實防風措施,船舶及時回港避風,海上作業平臺人員務必撤離;海洋牧場及養殖設施及時采取加固措施,合理控制養殖密度,以減少損失。沿海地區需重點防范暴雨引發的城鄉內澇、橋涵積水和交通中斷,山區要高度警惕山洪、山泥傾瀉、泥石流等次生災害。

    以上內容歸星島新聞集團所有,未經許可不得擅自轉載引用。


    編輯︱梁景琴
    久久五月综合婷婷私